2 acres | Located in Macon County, AL
You may also give us a call at 843-901-1337 or email me at info@kramerproperties.net.
Payment Options
Owner Financing Details
* Flexible Financing
* No Prepayment Penalty
* You Can Live/Build/Utilize While Making Payments
List Price – $28,950
Down Payment – $6,000
Monthly Payment – $500 for 60 Months
Interest Rate – 10.9%
Doc Fee – $500
Description
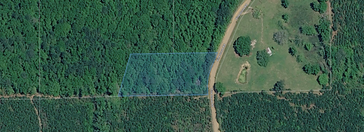
Ready to do things your way? This 2-acre property in Macon County, AL gives you the freedom to make it happen. No zoning. No restrictions. Just a wide-open opportunity to build what you want—whether that’s a traditional home, a barndominium, a tiny home, or something completely unique. It’s also a great option for an RV or camper setup if you’re looking to downsize. The manageable size means less maintenance and more time to actually enjoy your property—because let’s be honest, weekends are better spent relaxing, not working. Power is available at the road – Buyer to confirm well and septic condition.
Location? You’re perfectly positioned. Just 20 minutes from Tuskegee or Union Springs for everyday essentials like shopping, schools, and medical care. Want a few more options? Auburn and Opelika are about 40 minutes away, while Montgomery and Columbus are just an hour’s drive.
When it’s time to unwind, you’ll have no shortage of ways to do it. Explore the trails at Tuskegee National Forest, spend a day fishing or boating on the Tallapoosa River or Coosa River, or head over to Columbus for some of the best whitewater rafting in the region. Prefer a slower pace? Kayak nearby creeks, enjoy local museums, or take a relaxing day trip for shopping and dining.
Owner financing is available, making it easy to get started now and pay over time—with no prepayment penalty. Assignment of Contract.
Simple, flexible, and full of potential—this is Alabama land done right.
Property Information
Parcel Size
2 Acres
State
Alabama
County
Macon
Nearest Cities
Tuskegee or Union Springs – 20 Mins. | Auburn – 40 Mins. | Columbus GA or Montgomery – 1 Hr.
Parcel #
22-06-13-0-000-011-0000
Address
Pine Grove Rd., Tuskegee, AL 36083
Legal Description
2AC LOT IN S1/2 SW1/4 OF NW1/4 BEG AT SW COR OF SW 1/4 OF NW1/4 TH E375TO POB TH NE210′ TH E420′ TO R D TH SW210′ TH W420′ TO POB S13 T15 R2 3
Property Taxes
$135.66
Features
Acres
2
Access
Gravel
Power
Power at Street
Water
Well & Septic {Buyer to Verify Existence & Condition}
Coordinates
32.285080, -85.707240
Zoning
Unrestricted | No County Zoning
Elevation
365 FT.
Topography
Level Areas | Wooded
Nearby Cities / Attractions
Montgomery AL

Montgomery, Alabama blends southern charm with big-city conveniences. As the state capital, Montgomery has a vibrant community filled with culture, history, and friendly neighborhoods. You’ll find a mix of historic districts, modern developments, and plenty of green space to explore. The city’s cost of living remains reasonable, and there’s a healthy job market across government, healthcare, education, and industry. Whether you’re settling down, starting a family, or enjoying your next chapter, Montgomery gives you that perfect balance of comfort and opportunity.
There’s never a shortage of things to do, whether you’re into history, the arts, or outdoor adventure. History buffs will love the civil rights landmarks like the Rosa Parks Museum and the Civil Rights Memorial, while art lovers can explore the Montgomery Museum of Fine Arts and local galleries. Catch a Riverfront Festival or concert along the scenic Alabama River, stroll through Old Alabama Town, or enjoy family days at the Montgomery Zoo. Outdoor enthusiasts can kayak, hike, or picnic at nearby parks like Blount Cultural Park and Lagoon Park. With tasty local Southern eats on almost every corner, lively community events year-round, and easy access to shopping and services, Montgomery makes everyday life feel fulfilling and fun.
DISCLAIMER: The content provided herein is for informational purposes and no representation or warranty is made regarding its accuracy or completeness. Property descriptions and/or pictures may not accurately describe or depict the property. You are encouraged to conduct your own due diligence and seek independent professional advice if necessary.
Kramer Properties LLC may or may not be the owner of the properties listed on this website. However, all properties listed are under a binding contract with the Owner by Kramer Properties LLC.















